先后为广船国际、上海江南厂、大连STX集团等多家大型企业进行TRIBON、 CATIA、AUTOCAD等专业和通用软件的培训。陆续完成了6800DWT多用途船船体、30000DWT浮式生产储油轮(FPSO)管装模块等生产设计。目前正在进行CJ50自升式钻井平台、120000吨散货船的生产设计工作。

FPSO 管系和设备三维立体模型

船体三维立体模型
先后为广船国际、上海江南厂、大连STX集团等多家大型企业进行TRIBON、 CATIA、AUTOCAD等专业和通用软件的培训。陆续完成了6800DWT多用途船船体、30000DWT浮式生产储油轮(FPSO)管装模块等生产设计。目前正在进行CJ50自升式钻井平台、120000吨散货船的生产设计工作。

FPSO 管系和设备三维立体模型

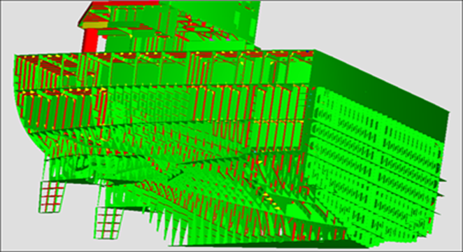
船体三维立体模型